Meteorit Jezersko je bil najden leta 1992 v bližini Češka koče na Jezerskem. Analize, ki smo jih opravili skupaj s sodelavci so pokazale, da gre za H4 S3 W2 navadni hondrit (več o meteoritu lahko preberete v znanstvenem članku objavljenem tule in v bazi vseh znanih meteoritov). Kot vsi hondriti, je sestavljen iz sferičnih struktur, ki jih imenujemo hondrule. Hondrule so nastale pred 4,56 milijaradmi let in so bile ena prvih sturkur, ki so nastale v našem Osončju. Večina hondrul je velika med 0,2 in 1 mm. Če hondrule opazujemo v presevni polarizirani svetlobi, se prikažejo naravnost čudovite interferenčne barve (vse slike v tem blogu so posnete s to tehniko). V meteoritu Jezersko se pojavljata dva tipa hondrul: porfirske in neporfirske. Slovensko terminologijo poimenovanja hondrul in klasifikacije meteoritov smo s sodelavci objavili v znanstvenem članku, ki je dostopen tule. Porfirske hondrule so nastale z agregacijo mineralnih zrn okrog nukleacijskega jedra. V meteoritu Jezersko najdemo porfirske olivinove, porfirske piroksenove in porfirske olivinovo-piroksenove hondrule. V nekaterih hondrulah smo našli t. i. relikte, ki nakazujejo na obstoj prejšnjih generacij hondrul. To je še posebno zanimivo, ker te strukture dobesedno kažejo na evolucijo nastanka našega Osončja.

Meteorit Jezersko 
Porfirska olivinova hondrula 
Porphyritic olivinova hondrula vsebuje lamerlano olivinovo hodrulo starejše generacije. 
Porfirski olivinovo-piroksenovi hondruli 
Porfirska olivinova-piroksenova hondrula 
Porfirska olivinova-piroksenova hondrula 
Porfirska piroksenova hondrula 
Porfirska olivinova-piroksenova hondrula
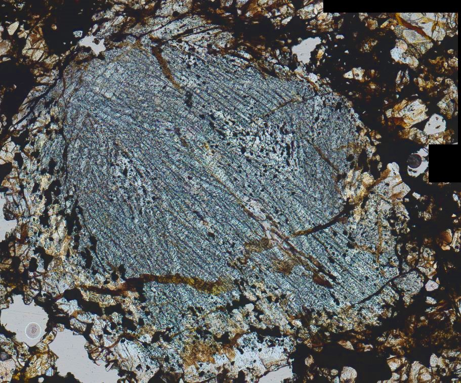
Za razliko od porfirskih hondrul so neporfirske hondrule nastale hipno iz taline, ki je nastala kot posledica “dogodka segrevanja”, ki še ni z gotovostjo pojasnjen. Vendar večina znanstvenikov meni, da bi lahko do tega prišlo zaradi eksplozije bližnje supernove. V metoritu Jezersko najdemo lamelarne olivinove, pahljačaste piroksenove in kriptokristalne hondrule tega tipa.

Lamelarna olivinova hondrula 
Lamelarna olivinova hondrula 
Lamelarna olivinova hondrula, kjer je vzorec pretanek in zato prikazuje napačne interferenčne barve. 
Pahljačasta piroksenova hondrula 
Pahljačasta piroksenova hondrula 
Pahljačasta piroksenova hondrula 
Kriptokristalna hondrula 
Kriptokristalna hondrula
Slike hondrul sem posnel z optičnim polarizacijskim mikroskopom Zeiss Axio Z1-m v laboratoriju Centra za elektronsko mikroskopijo in mikroanalizo na Institutu “Jožef Stefan” in v Centru odličnosti nanoznanosti in nanotehnologije. Če koga zanima kako se to slike nastale, sem podrobneje o tej mikroskopistični tehniki pisal tukaj: https://bojanambrozic.com/2020/09/01/analiza-meteorita-novo-mesto-z-opticnim-mikroskopom/.